Meet the Other Phone. Flexible and made to last.

Meet the Other Phone.
Flexible and made to last.

Buy now

Please or to access all these features

Weather

Ian

13 replies

RedToothBrush · 28/09/2022 19:42

I have seen very little about Ian with everything else going on. Even my twitter feed is strangely quiet...

...Yet there is talk that it could yet make Cat 5.

The stuff I have seen is looking BAD.

OP posts:
dickdarstardlymuttley · 28/09/2022 19:43

Tell me more please

BruceAndNosh · 28/09/2022 19:45

Hurricane Ian or Ian Poulter?

dickdarstardlymuttley · 28/09/2022 19:47

dickdarstardlymuttley · 28/09/2022 19:43

Tell me more please

Ah right, I've just seen the news.

Strokethefurrywall · 28/09/2022 19:53

It's absolutely massive.
We had it pass over us in Cayman on Monday and it was just a Cat 1 then. Trees down, storm surge, flooding.

The speed and strength it's gathered the last few days is awful, Cuba are without power (they're 275 miles away from us!) and it's going to utterly destroy south of Tampa which is flat and coastal waters.

I would recommend mikes weather page on Facebook or his website spaghettimodels.com

He's a Florida native (lives close to where Ian will make landfall) and hobby tropical storm chaser, he reviews hurricane models and discusses them. He's currently storm chasing and is live streaming from the hurricane.

This will be disastrous for SE Florida, I feel desperately for them all...

HerRoyalNotness · 28/09/2022 19:56

From my person in the ground on the east coast near cape Canaveral. They’re all ordered to work from home since yesterday and they had to put the rocket back in it’s shed.

there’s always going to be someone who goes in the water and to the beach for a lookey loo 😆

Ian
RedToothBrush · 28/09/2022 21:34

I love the idea of a rocket having a shed!

Ian made landfall as cat 4 with winds of 150mph. That's only just shy of cat 5.

Crucially the issue is how big the storm is, that's the biggest issue.

Forecasts had up to half a million homes underwater I believe. With an issue that many people in Florida have been fatigued with hurricane warning being over played over the last few years so haven't all taken the threat seriously.

The worst hit areas are being warned they will be without electricity for months. Not weeks. Months.

OP posts:
BeaFox · 28/09/2022 21:46

Ian? Now there is a name I haven' heard in ages. is this storm going to come over here? To the UK?

ListenLinda · 28/09/2022 21:51

Are Hurricanes over there usually this big? I know they have had more powerful storms, category 5 storms, but a lot of the news refers to it’s size

RedToothBrush · 28/09/2022 22:01

ListenLinda · 28/09/2022 21:51

Are Hurricanes over there usually this big? I know they have had more powerful storms, category 5 storms, but a lot of the news refers to it’s size

No. Its a particularly large storm. And I believe its the 5th strongest in wind speed to ever hit the US:

  1. Labor Day 185mph (1935)
  2. Camille 175mph (1969)
  3. Andrew 165mph (1992)
  4. Michael 155mph (2018)
  5. Laura 150mph (2020)
  6. Ida 150mph (2021)
  7. Ian 150mph (2022)

One of the issues is due to the angle its hitting is how far inland its going to have a massive effect.

There is also seemingly something of an issue with the evacuation orders. Tampa was feared would get a direct hit so they evacuated there first. Fort Meyers only got a very late evacuation order - people were initially told to shelter in place.

If you look at the geography and the angle of approach Fort Myers is particularly badly located up a channel of water - which is angled at the exact same approach of the hurricane. It couldn't be worse for Fort Meyers.

OP posts:
Strokethefurrywall · 28/09/2022 22:02

Only 4 Cat 5 hurricanes ever made landfall in Us history, but they don't have to be cat 5 to cause utter catastrophic damage.
Hurricane Katrina was a cat 3 when it landed, it's always the storm surge that causes the most damage and causes the most loss of life.

The reason Ian is so dangerous is that the storm surge expected is between 12-18ft, together with winds of 155mph followed by 2 ft of rain as it slows down.

And no it's not going to the UK.

RedToothBrush · 28/09/2022 22:16

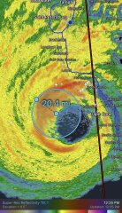
Two images that give some idea of the scale / size of the issue with Ian.

One shows what the max forecast wind speed is likely to be for the whole of Florida. You can see how far inland some of those extreme speeds go.

The other shows how wind the band of the strongest winds are - 20.4miles. That's a huge area getting flattened.

Its bad.

Cuba with 11 million people - the entire electricity grid is being reported as down.

Compared with other hurricanes the news coverage of Ian here is surprisingly low key.

Ian
Ian
OP posts:
elp30 · 28/09/2022 22:25

@Strokethefurrywall

You're right.

Hurricane Harvey affected my US city was a Category 4 but the damage was not a storm surge since it missed the coast (the city is over 50 miles inland) or the winds but the 30"-60" of rain that fell in two days. There are always low lying places in my city that everyone knows to evacuate during tropical storms but that hurricane hit every single part of the city. To make matters worse, there was no choice but to open the reservoirs and let the water do downstream. If your area wasn't affected by the rain, the downstream water flooded you.

My husband took a photo a less than a quarter mile from our home 10 days after the hurricane and there was still significant water. It took a while for the city to recover from it.mI have real honest to goodness fear of heavy rainfall now.

Ian
ListenLinda · 29/09/2022 07:02

I feel for them all. It must be horrible to live in fear of hurricane season every year

New posts on this thread. Refresh page